$
Bed
Bath
SqFt
1 DOM
Built:
Status: Active
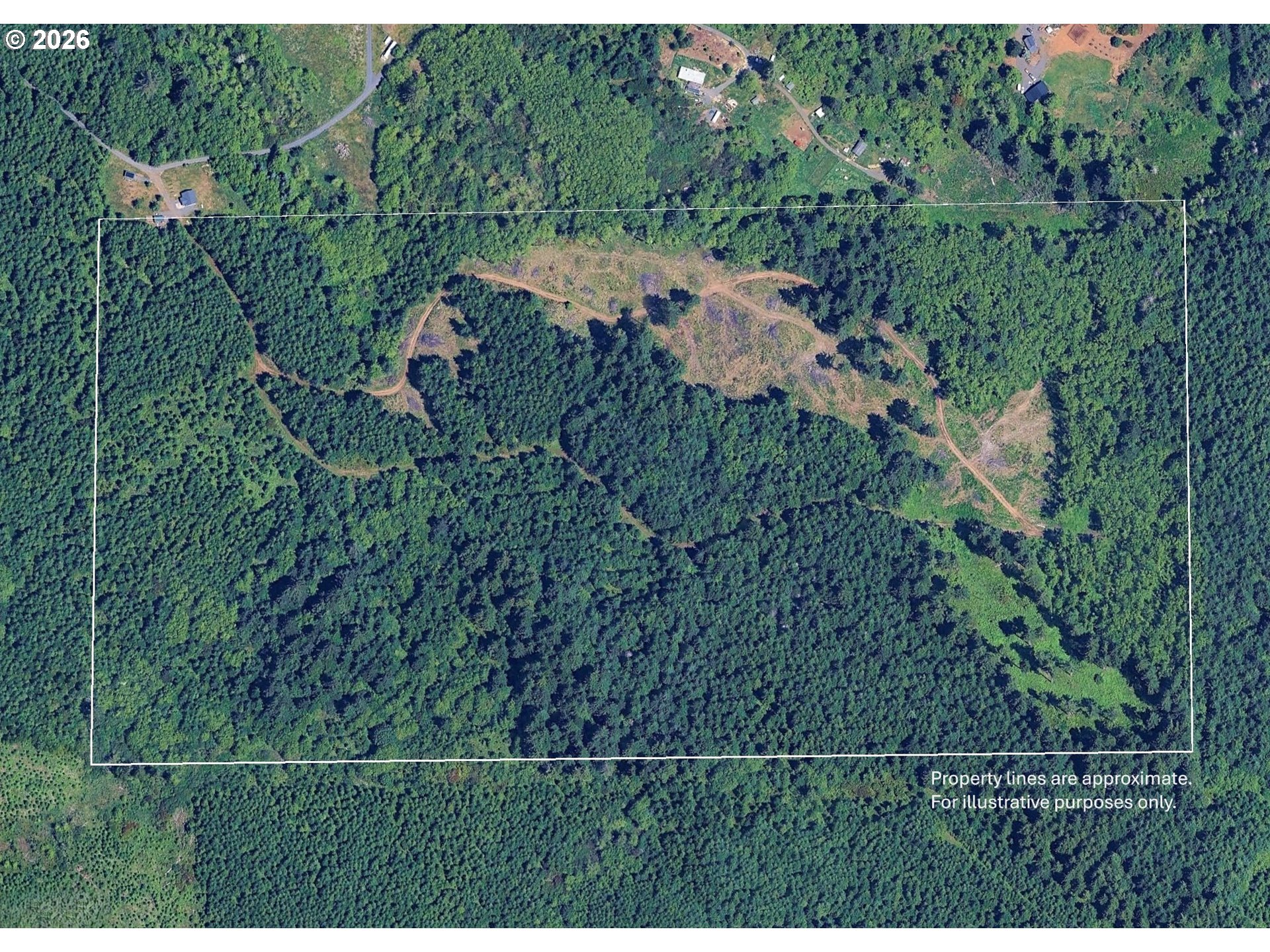
Discover a premier opportunity to own a timber tract tucked away in the scenic foothills of the Cascades. Located just 13 miles southeast of Silverton and a short 6-mile drive from the iconic Silver Falls State Park, this property combines secluded natural beauty with investment potential. This property features a multi-generational timber profile designed for staggered, steady income. The inventory includes: Merchantable Timber: 8+ acres of prime 60-year-old ± Douglas-fir. Pre-Merch: 22± Acres of 35-year Doug-fir. Growing Stock: Approximately 19 acres of healthy Douglas-fir 26 years old, providing excellent mid-term growth. Next Generation: 9 acres recently logged in 2023, ready for reforestation to kickstart the next cycle of value. Variety: There is about 15 acres of red alder. With level to gentle sloping topography, the property is suited for cost-effective ground-based logging. Site Index 122: Good soils ensures healthy tree development. Infrastructure: A dirt road loops through the property with branching spurs, providing easy hikeable access during wet conditions and drivable during dry. Beyond the balance sheet, the property offers stunning territorial views of the surrounding forested mountains and the deer trails are abundant. It is a true retreat, offering the peace and quiet of the Oregon wilderness while remaining only 25 miles from the amenities of Salem and Stayton. Whether you are looking to diversify your portfolio with a tangible asset or seeking a private forest retreat, this Marion County gem is ready for its next steward. Marion Woods is being offered in a Sealed Bid Auction with bids due by 04/20/26 by 4pm. Contact a Broker for a copy of the bid packet and to explain the process if you're unfamiliar. Shown by appointment only to qualified Buyers. Access is by easement 2 miles behind a locked gate over private roads. Property is unlikely to be approved for residential use. Buyer to do their own due diligence. No Seller financing.
Listing Provided Courtesy of Lauren Read, Made Out West Land Company, LLC
369776559
Forest
1 DOM
80 acres
TC
Marion
539207
Silver Crest
Silver Crest
Silverton
Land
Forest
T7S R1E Sec. 36 TL1200
Listing Provided Courtesy of Lauren Read, Made Out West Land Company, LLC
PDXA1 Realty Group data last checked: Mar 24, 2026 09:05 | Listing last modified Mar 23, 2026 16:27,
Source:
No
262.04
0
Cash,FarmCreditService
03-23-2026
No
No
1
1
Cash,FarmCreditService
Mar 23, 2026 16:27
Listing courtesy of Made Out West Land Company, LLC.
The content relating to real estate for sale on this site comes in part from the IDX program of the RMLS of Portland, Oregon.
Real Estate listings held by brokerage firms other than this firm are marked with the RMLS logo, and
detailed information about these properties include the name of the listing's broker.
Listing content is copyright © 2019 RMLS of Portland, Oregon.
All information provided is deemed reliable but is not guaranteed and should be independently verified.
PDXA1 Realty Group data last checked: Mar 24, 2026 09:05 | Listing last modified Mar 23, 2026 16:27.
Some properties which appear for sale on this web site may subsequently have sold or may no longer be available.
Venkat is a very good negotiator. He was quick to respond, when I had questions. He came to all the meetings with the seller and provided valuable inputs on inspections and mortgage options. Overall, I was impressed and would love to work with him again.
Venkat is very professional and has tremendous knowledge in the real estate industry. He was always available to discuss and made time to visit the construction site several times during the course. I was looking at a new construction and had to wait for the property to be built.
Muthu has good knowledge about the community and understands the needs of his customers. He helped us sell our house in record time and followed up with the buyer and the agent until the complete closure. We received multiple offers and Muthu negotiated well and helped us decide on the buyer.
Venkat Muthu is a wonderful person to go with. Very friendly and advices as per the need and gives his service and support where and when needed and some times going beyond. Really happy to share the review and I highly recommend if anyone is looking for any homes.
Venkat is great to work with as realtor. He is very patient and listens to the requests of the buyer or seller and doesn’t push as t any point of time. He has a good understanding of the market situation and location for investments as well. All this comes from experience with him recently buying a home.
Whether you’re looking to buy your dream home, sell your property for the best price, or explore investment opportunities, PDXA1 Realty Group is here to help. With expertise, personalized service, and a commitment to your goals, we’ll guide you every step of the way. Contact us today at (971) 330-1856 let’s start the conversation!
© PDXA1 Realty Group | Powered by Taigha