$599000
Bed
Bath
SqFt
59 DOM
Built:
Status: Active
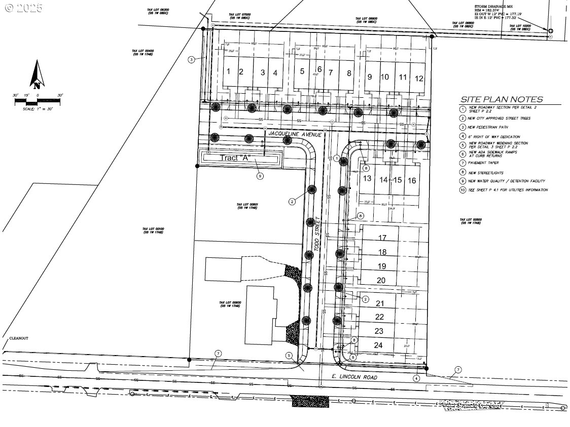
Desirable development parcel in Woodburn Oregon offering 2.32 acres of flat usable land within the city Urban Growth Boundary. Upon annexation the property is planned for residential zoning creating a clear pathway for future housing development. Utilities are located nearby allowing for orderly extension through the annexation and permitting process. The site is well positioned within an established growth corridor and benefits from proximity to Interstate 5 providing efficient regional access between Salem and Portland. Preliminary design work indicates potential for twenty four townhome lots with typical lot widths in the range of twenty to twenty five feet subject to final land use approvals and engineering. The flat topography supports efficient site planning and construction. Woodburn is experiencing continued population growth and housing demand as part of the greater Willamette Valley and is actively planning for future residential development to meet that demand. Woodburns strategic location along the Interstate corridor combined with its expanding employment base and access to regional markets supports a range of residential product types. This parcel presents a compelling opportunity for builders and developers seeking a well located infill style development site within a growing city. The property offers a rare chance to add new housing supply in a market with long term growth fundamentals and supportive planning framework.
Listing Provided Courtesy of Mark Shadrin, Berkshire Hathaway HomeServices Real Estate Profes
495624011
SingleFamilyResidence
59 DOM
2.32 acres
RS
Marion
513288
Lincoln
French Prairie
Woodburn
Land
SingleFamilyResidence
P.P. 1995-067, PARCEL 3, ACRES 2.32, 94-5: 2.32 ACRES DISQ FARM U
Listing Provided Courtesy of Mark Shadrin, Berkshire Hathaway HomeServices Real Estate Profes
PDXA1 Realty Group data last checked: May 07, 2026 09:30 | Listing last modified Apr 01, 2026 13:02,
Source:
No
846.03
0
Cash
02-01-2026
No
No
59
95
Cash
$599,000
$599,000
Apr 01, 2026 13:02
Listing courtesy of Berkshire Hathaway HomeServices Real Estate Profes.
The content relating to real estate for sale on this site comes in part from the IDX program of the RMLS of Portland, Oregon.
Real Estate listings held by brokerage firms other than this firm are marked with the RMLS logo, and
detailed information about these properties include the name of the listing's broker.
Listing content is copyright © 2019 RMLS of Portland, Oregon.
All information provided is deemed reliable but is not guaranteed and should be independently verified.
PDXA1 Realty Group data last checked: May 07, 2026 09:30 | Listing last modified Apr 01, 2026 13:02.
Some properties which appear for sale on this web site may subsequently have sold or may no longer be available.
Venkat is a very good negotiator. He was quick to respond, when I had questions. He came to all the meetings with the seller and provided valuable inputs on inspections and mortgage options. Overall, I was impressed and would love to work with him again.
Venkat is very professional and has tremendous knowledge in the real estate industry. He was always available to discuss and made time to visit the construction site several times during the course. I was looking at a new construction and had to wait for the property to be built.
Muthu has good knowledge about the community and understands the needs of his customers. He helped us sell our house in record time and followed up with the buyer and the agent until the complete closure. We received multiple offers and Muthu negotiated well and helped us decide on the buyer.
Venkat Muthu is a wonderful person to go with. Very friendly and advices as per the need and gives his service and support where and when needed and some times going beyond. Really happy to share the review and I highly recommend if anyone is looking for any homes.
Venkat is great to work with as realtor. He is very patient and listens to the requests of the buyer or seller and doesn’t push as t any point of time. He has a good understanding of the market situation and location for investments as well. All this comes from experience with him recently buying a home.
Whether you’re looking to buy your dream home, sell your property for the best price, or explore investment opportunities, PDXA1 Realty Group is here to help. With expertise, personalized service, and a commitment to your goals, we’ll guide you every step of the way. Contact us today at (971) 330-1856 let’s start the conversation!
© PDXA1 Realty Group | Powered by Taigha