$250000
Bed
Bath
SqFt
4 DOM
Built:
Status: Active
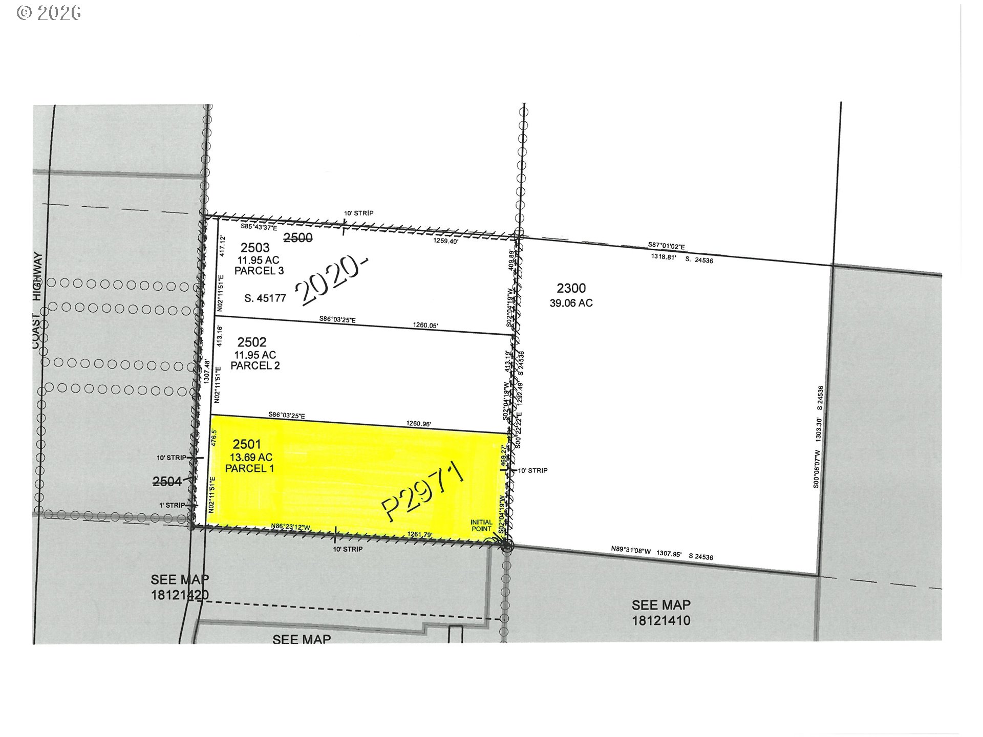
Prime Development Parcel – Spruce Street Frontage - Exceptional development opportunity with 476 feet of north-facing frontage on undeveloped Spruce Street. This parcel extends approximately 1,260 feet deep and offers strong potential for residential development. Utilities and a developed street are already in place at the southwest corner of the property, providing convenient access for future infrastructure expansion. Zoning allows for a minimum 5,000 sq ft lot size, with the ability to build up to two attached living units per lot, making this an ideal option for townhomes, duplex-style housing, or small-lot residential development. This parcel presents strong potential for builders or investors seeking flexibility and long-term value.
Listing Provided Courtesy of Maureen Hewlett, West Coast Real Estate Service
605538782
SingleFamilyResidence
4 DOM
13.69 acres
MRF2BD
Lane
1909405
Siuslaw
Siuslaw
Siuslaw
Land
SingleFamilyResidence
18-12-11-00-02501
Listing Provided Courtesy of Maureen Hewlett, West Coast Real Estate Service
PDXA1 Realty Group data last checked: May 03, 2026 19:56 | Listing last modified Jan 30, 2026 12:28,
Source:
No
3052.14
0
Cash
01-26-2026
No
No
4
97
Cash
$250,000
$250,000
Jan 30, 2026 12:28
Listing courtesy of West Coast Real Estate Service.
The content relating to real estate for sale on this site comes in part from the IDX program of the RMLS of Portland, Oregon.
Real Estate listings held by brokerage firms other than this firm are marked with the RMLS logo, and
detailed information about these properties include the name of the listing's broker.
Listing content is copyright © 2019 RMLS of Portland, Oregon.
All information provided is deemed reliable but is not guaranteed and should be independently verified.
PDXA1 Realty Group data last checked: May 03, 2026 19:56 | Listing last modified Jan 30, 2026 12:28.
Some properties which appear for sale on this web site may subsequently have sold or may no longer be available.
Venkat is a very good negotiator. He was quick to respond, when I had questions. He came to all the meetings with the seller and provided valuable inputs on inspections and mortgage options. Overall, I was impressed and would love to work with him again.
Venkat is very professional and has tremendous knowledge in the real estate industry. He was always available to discuss and made time to visit the construction site several times during the course. I was looking at a new construction and had to wait for the property to be built.
Muthu has good knowledge about the community and understands the needs of his customers. He helped us sell our house in record time and followed up with the buyer and the agent until the complete closure. We received multiple offers and Muthu negotiated well and helped us decide on the buyer.
Venkat Muthu is a wonderful person to go with. Very friendly and advices as per the need and gives his service and support where and when needed and some times going beyond. Really happy to share the review and I highly recommend if anyone is looking for any homes.
Venkat is great to work with as realtor. He is very patient and listens to the requests of the buyer or seller and doesn’t push as t any point of time. He has a good understanding of the market situation and location for investments as well. All this comes from experience with him recently buying a home.
Whether you’re looking to buy your dream home, sell your property for the best price, or explore investment opportunities, PDXA1 Realty Group is here to help. With expertise, personalized service, and a commitment to your goals, we’ll guide you every step of the way. Contact us today at (971) 330-1856 let’s start the conversation!
© PDXA1 Realty Group | Powered by Taigha