$1999995
4 Bed
3 Bath
2371 SqFt
22 DOM
Built: 1992
Status: Active
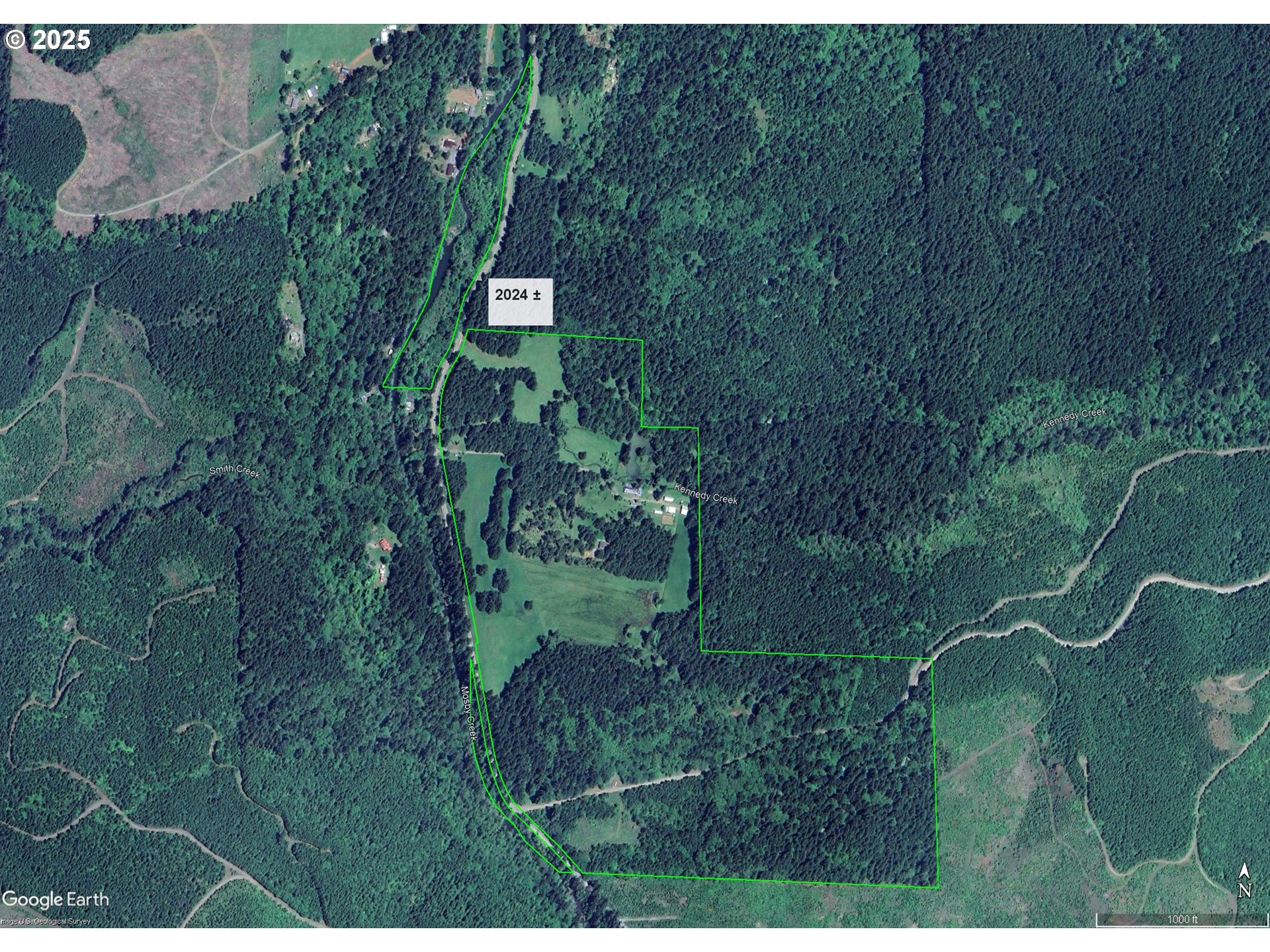
Last house on the road! The Mosby Creek Farm & Forest of 142.16± acres adjoin 29k+ acres of timberland that is accessible for recreational use by permit along with thousands of acres of BLM. Perfect for family compound with 2 permitted residences along with 1 mobile home used for a medical hardship that has expired. All homes are hidden from the county road behind trees & pasture providing privacy & seclusion. The main home of 2371 sqft with 4 bedrooms & 3 baths was custom built by the current landowner in 1992. It is well-cared for with regular maintenance. The 1952 log cabin is 1848 sqft of rustic charm with 2 bedrooms & 2 baths. The breezeway from the cabin connects to a large garage with a loft. The 1995 single-wide is 850 sqft, 2 beds & 2 baths. There are several outbuildings to support country living including a shop with bathroom, barn, covers, chicken coop & sheds. The land is immaculately maintained with a park-like setting through the forestland. The orchard has apple & pear trees & the garden has raspberries & blueberries. Sweeping fields & scattered meadows provide good forage for livestock & the resident deer. All pastures are parameter fenced. There is an abundance of water features including 3375' ± of beautiful Mosby Creek with Chinook salmon & steelhead. Coastal cutthroat trout is open to fishing year-round. Kennedy Creek flows through the property into a large pond with island. There are 2 more spring ponds on the property. There is ~23 acres of pasture ground & 3+ acres in meadows/yard. The timberland consists of 13± acres Doug-fir (DF) reprod & 83± acres of merchantable timber. A timber cruise this year estimates a total merch volume of 1,387mbf all ground-based logging. Topography is level to gently sloping with great views of the surrounding forestland & mountains. One-of-a-kind opportunity in the heart of some of Oregon's most gorgeous country. See for yourself & schedule a showing! Shown by appt. only to qualified Buyers with Broker present.
Listing Provided Courtesy of Amber Archibald, Made Out West Land Company, LLC
590443754
SingleFamilyResidence
22 DOM
4
142.16 acres
3
2371
1992
E40F2F1
Lane
1477684
Dorena
Lincoln
Cottage Grove
Residential
SingleFamilyResidence
210230000800, 2102310000300, 2102310000200, 2102310000202, 2102310000201
Listing Provided Courtesy of Amber Archibald, Made Out West Land Company, LLC
PDXA1 Realty Group data last checked: Apr 22, 2026 02:33 | Listing last modified Mar 31, 2026 12:22,
Source:
1180
1191
0
2371
County
2371
1/Gas
4
3
0
3
Composition,Shingle
2, Attached, Oversized
Stories2,Colonial
Covered,Driveway
2
1992
No
LapSiding, WoodComposite
CrawlSpace
RVParking,RVBoatStorage
CrawlSpace
Slab,StemWall
DoublePaneWindows,Vi
BuiltinOven, CookIsland, Cooktop, Dishwasher, Disposal, DoubleOven, FreeStandingRefrigerator, Tile
GarageDoorOpener, HardwoodFloors, JettedTub, Laundry, SoakingTub, VinylFloor, WasherDryer, WaterPurifier, Wo
Barn, CoveredDeck, CrossFenced, Fenced, Garden, Outbuilding, Patio, Porch, PoultryCoop, RainBarrelCistern, RVP
GarageonMain
None
Electricity, Tank
ForcedAir, WoodStove
StandardSeptic
Electricity, Tank
Electricity
4041.27
0
Cash,Conventional,FarmCreditService
03-31-2026
No
No
22
22
Cash,Conventional,FarmCreditService
$1,999,995
$1,999,995
Mar 31, 2026 12:22
Listing courtesy of Made Out West Land Company, LLC.
The content relating to real estate for sale on this site comes in part from the IDX program of the RMLS of Portland, Oregon.
Real Estate listings held by brokerage firms other than this firm are marked with the RMLS logo, and
detailed information about these properties include the name of the listing's broker.
Listing content is copyright © 2019 RMLS of Portland, Oregon.
All information provided is deemed reliable but is not guaranteed and should be independently verified.
PDXA1 Realty Group data last checked: Apr 22, 2026 02:33 | Listing last modified Mar 31, 2026 12:22.
Some properties which appear for sale on this web site may subsequently have sold or may no longer be available.
Venkat is a very good negotiator. He was quick to respond, when I had questions. He came to all the meetings with the seller and provided valuable inputs on inspections and mortgage options. Overall, I was impressed and would love to work with him again.
Venkat is very professional and has tremendous knowledge in the real estate industry. He was always available to discuss and made time to visit the construction site several times during the course. I was looking at a new construction and had to wait for the property to be built.
Muthu has good knowledge about the community and understands the needs of his customers. He helped us sell our house in record time and followed up with the buyer and the agent until the complete closure. We received multiple offers and Muthu negotiated well and helped us decide on the buyer.
Venkat Muthu is a wonderful person to go with. Very friendly and advices as per the need and gives his service and support where and when needed and some times going beyond. Really happy to share the review and I highly recommend if anyone is looking for any homes.
Venkat is great to work with as realtor. He is very patient and listens to the requests of the buyer or seller and doesn’t push as t any point of time. He has a good understanding of the market situation and location for investments as well. All this comes from experience with him recently buying a home.
Whether you’re looking to buy your dream home, sell your property for the best price, or explore investment opportunities, PDXA1 Realty Group is here to help. With expertise, personalized service, and a commitment to your goals, we’ll guide you every step of the way. Contact us today at (971) 330-1856 let’s start the conversation!
© PDXA1 Realty Group | Powered by Taigha