$972000
Price cut: $3K (04-03-2026)
Bed
Bath
SqFt
37 DOM
Built:
Status: Active
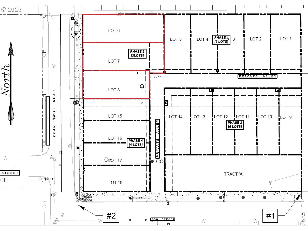
Three mixed residential "live-work" zoned developed lots for sale. These lots are graded and ready to build with paving, curbs, sidewalks, water, sewer, gas, and electric. The special zoning for the lots permits building "duplexes" with street-level low-impact businesses and additional residential levels above with the potential to rent the business levels and homes together or separately. The subdivision is also approved for attached or detached townhomes so buildings on separate lots may be joined or partially joined at the lot lines for zero-setback requirements between the lots and to allow for increased 60% lot coverage. The front entrances of the structures would be on Dean Swift to the west with a 5' setback and a driveway access from Gracie Lane with an 18' setback. Lots 809 and 810 are larger to accommodate driveways with access for 809 through the driveway of 810 (see tax lot map for details). Lot 171234DC00809 is 4,180 sq ft measuring 110' x 38', Lot 171234DC00810 is 4,260 sq ft measuring 110' x 38' + 4' x 20', and Lot 171234DC00811 is 3,420 sq ft measuring 90' x 38'. 62062 Dean Swift Rd is the old tract address being used for the ease of location this set of three developed lots.
Listing Provided Courtesy of Jonathan Minerick, homecoin.com
788015724
MixedUse
37 DOM
0.28 acres
RM
Deschutes
282259
Bear Creek
Pilot Butte
Bend
Land
MixedUse
MARKS CORNER PHASES 2 & 3 6-7
Listing Provided Courtesy of Jonathan Minerick, homecoin.com
PDXA1 Realty Group data last checked: Apr 23, 2026 01:11 | Listing last modified Apr 03, 2026 06:44,
Source:
No
1012.75
0
Cash
02-25-2026
No
No
37
57
Cash
$975,000
$972,000
Apr 03, 2026 06:44
Listing courtesy of homecoin.com.
The content relating to real estate for sale on this site comes in part from the IDX program of the RMLS of Portland, Oregon.
Real Estate listings held by brokerage firms other than this firm are marked with the RMLS logo, and
detailed information about these properties include the name of the listing's broker.
Listing content is copyright © 2019 RMLS of Portland, Oregon.
All information provided is deemed reliable but is not guaranteed and should be independently verified.
PDXA1 Realty Group data last checked: Apr 23, 2026 01:11 | Listing last modified Apr 03, 2026 06:44.
Some properties which appear for sale on this web site may subsequently have sold or may no longer be available.
Venkat is a very good negotiator. He was quick to respond, when I had questions. He came to all the meetings with the seller and provided valuable inputs on inspections and mortgage options. Overall, I was impressed and would love to work with him again.
Venkat is very professional and has tremendous knowledge in the real estate industry. He was always available to discuss and made time to visit the construction site several times during the course. I was looking at a new construction and had to wait for the property to be built.
Muthu has good knowledge about the community and understands the needs of his customers. He helped us sell our house in record time and followed up with the buyer and the agent until the complete closure. We received multiple offers and Muthu negotiated well and helped us decide on the buyer.
Venkat Muthu is a wonderful person to go with. Very friendly and advices as per the need and gives his service and support where and when needed and some times going beyond. Really happy to share the review and I highly recommend if anyone is looking for any homes.
Venkat is great to work with as realtor. He is very patient and listens to the requests of the buyer or seller and doesn’t push as t any point of time. He has a good understanding of the market situation and location for investments as well. All this comes from experience with him recently buying a home.
Whether you’re looking to buy your dream home, sell your property for the best price, or explore investment opportunities, PDXA1 Realty Group is here to help. With expertise, personalized service, and a commitment to your goals, we’ll guide you every step of the way. Contact us today at (971) 330-1856 let’s start the conversation!
© PDXA1 Realty Group | Powered by Taigha